脳神経科は脳、脊髄、末梢神経-筋疾患を対象とする診療科です。発作・運動失調・麻痺・平衡感覚の障害などの際はご相談ください。
当院は、国際基準に則ったてんかんの診断治療・椎間板ヘルニアに対する低侵襲治療(PLDD)が可能な数少ない動物病院です。
発作症状は動画の情報が非常に大事です。診断の大きな手助けになりますので、なるべく前兆と思われる段階から症状が落ち着くまでの動画をお持ちください。

次の症状がある場合は、ご相談ください。
![]()
突然全身を硬直させた後、バタバタと激しく足を動かす。その間呼びかけには反応しない(発作)
![]()
頭が左右どちらかに傾いている(斜頸)
![]()
いつもボーッとしていて、音や光の刺激にもあまり反応しない
![]()
光や音の刺激に過剰に反応して、筋肉が痙攣する
![]()
頭や耳を頻繁に掻いている
![]()
筋肉が一部痙攣している
![]()
ベロの動きが悪くなった、口が閉じられなくなった
![]()
夜中に鳴くようになった、徘徊する
![]()
突然怒るようになった
![]()
瞳孔が開いていて、よく物にぶつかる
![]()
筋肉が突然薄くなった
![]()
抱っこしたらキャンと鳴いて痛がって、震えている
![]()
足が動かなくなった
![]()
ご飯を食べたり遊んでいる時など、興奮すると力が抜けて倒れてしまう
![]()
ご飯時に鳥のように激しく頭をお皿に突っ込んで食べる
![]()
鼓笛隊のように足を大きく振って大げさに歩く

主な検査は以下のとおりです。
![]()
神経学的検査
![]()
血液検査
![]()
X線画像検査
![]()
MRI検査(当院で検査可能です)
![]()
脳波検査
![]()
筋電図・神経誘発電図検査
![]()
CT検査

MRI検査機器

脳波計(右)と筋電図計(左)

主な病名には以下のようなものがあります。
![]()
てんかん
![]()
脳腫瘍
![]()
脳炎
![]()
水頭症
![]()
脳梗塞
![]()
脳出血
![]()
脳奇形
![]()
先天性代謝異常症
![]()
ラフォラ病
![]()
下垂体腫瘍/下垂体性クッシング症候群
![]()
ナルコレプシー
![]()
認知機能障害・脳萎縮
![]()
末梢神経鞘腫
![]()
脊髄腫瘍
![]()
椎間板ヘルニア
![]()
変性性脊髄症
![]()
脊髄梗塞
![]()
環椎軸椎関節異常
![]()
尾側後頭骨奇形症候群(COMS)
![]()
脊髄空洞症
![]()
馬尾症候群
など
てんかんは生涯にわたり何かしらの治療が必要になる可能性の高い疾患です。そのため、当院ではてんかんをより正確に診断するためにMRI、脳脊髄液検査と脳波検査を行い脳の精査を行なっております。
椎間板ヘルニアに対する手術は、一般的に切皮を伴う方法が実施されますが、同時に複数箇所にヘルニアがあるケースでは体への負担が大きくなってしまいます。また、症状が痛みのみのケースでは手術が回避されることが多いです。
PLDDはこの様な場合でも、早期に椎間板に対する直接的な処置が可能です。また体への負担も少なく、処置した翌日に退院が可能です。
※詳しくはこちらをご参照ください
整形疾患には骨折、脱臼、靭帯・腱の断裂などがあります。
歩くときに足をかばっている(跛行といいます)。足を挙げてしまう。走り方が普通と違う。
座るときに後ろ足を投げ出す、あるいはよく後ろ足を伸ばしている等の症状がある場合には整形疾患の可能性があります。
放っておくことで少しずつ悪化し、足を使えなくなったり、動けなくなってしまうことがあります。
また、時間が立つほど治療が難しくなり、後遺症なども残りやすくなります。
整形疾患を疑う場合には歩行の観察、触診から始まり、レントゲン検査を行います。

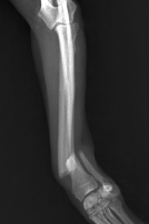
橈尺骨の骨折

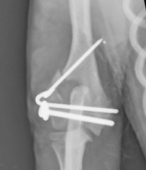
上腕骨の骨折

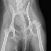
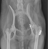
股関節脱臼
必要であれば神経学的検査、関節液検査を行います。診断が難しい場合にはCT画像検査や関節鏡検査、MRI検査を行うこともあります。

CT画像検査

MRI検査
治療には多くの整形疾患で手術が必要になります。術式は折れ方や場所、脱臼の場所などにより様々で、多様な方法を組み合わせて行います。
手術器具は、整形用ドリル(骨を切ったり、スクリュー(ネジ)用の穴を開けたりします)、整形用ラウンドバー(骨を削る器具です)、各種骨プレート・スクリュー、ワイヤー、ロッキングプレート・ロッキングスクリュー(通常のプレートより強固な固定が可能です)、骨セメント、整形器具を揃えており、幅広い手術に対応可能です。

橈尺骨骨折
プレートスクリュー固定

上腕骨骨折
ピン・スクリューによる固定

股関節脱臼の
トグルピンによる整復
また前十字靭帯断裂の際にはTPLOという治療を行うことも可能です。5kg以下の小型犬腫にも対応しています。
詳しくは症例紹介のページをご覧ください。


術中にはCアームと呼ばれる透視装置を用いることで、治療に役立てています。

当院では年間250件を越える整形外科手術を行なっています(2023年)。
整形疾患でお悩みの際にはご相談ください。
近年では、今まで治療することができなかった慢性骨関節炎(OA)に対し、PRP(自己血小板血漿療法)と呼ばれるものを関節内に注入することで、疼痛緩和や機能回復を目指す治療を行っています。PRPは採血するだけで採取可能であるため、負担が少なく老齢動物でも可能です。人でも盛んに研究開発が行われており、多くの有名アスリートが実施していることが知られています。
10mL〜15mLの採血を特殊なシリンジ(シリンジの内部にさらにシリンジがついている)で行い、10分間の遠心分離を行い採取します。それをCアームによる透視下にて、関節内に入っていることを確認し、注入します。
施術後数日間は逆に痛みが出ることがありますが、その後炎症が落ち着くと施術以前より疼痛が減ったり、運動機能が回復することが多いです。
対象は犬・猫で10〜15mLの採血が可能であれば大丈夫で、年齢制限はありません。
慢性骨関節炎などでお悩みの方はご相談ください。
小滝橋動物病院新目白通り第2高度医療センター 獣医師:磯野
https://shinmejiro-mri.com

関節疾患
[膝関節]
![]()
膝蓋骨内方脱臼・外方脱臼(滑車溝形成術、脛骨粗面転移術、縫工筋解放術、関節包縫縮術など)
![]()
前十字靭帯断裂(TPLO、ラテラルスーチャー・flo法)
[股関節]
![]()
股関節脱臼(トグルピン法、ワッシャー・ワイヤーによる整復法、大腿骨頭切除術)
![]()
レッグペルテス(大腿骨頭切除術)
[肩関節]
![]()
肩関節脱臼(上腕二頭筋腱転移術)
![]()
離断性骨軟骨症
![]()
肩関節固定術
[肘関節]
![]()
内側鈎状突起離断
![]()
肘突起癒合不全
骨疾患
![]()
橈尺骨骨折
![]()
骨盤骨折
![]()
中手骨・中足骨骨折
![]()
上腕骨骨折
![]()
大腿骨骨折
![]()
脛骨骨折
![]()
骨癒合不全
神経疾患
![]()
環軸椎不安定症
![]()
頸部椎間板ヘルニア・胸腰部椎間板ヘルニア
![]()
変性性腰仙椎狭窄症・馬尾症候群
![]()
脊柱管狭窄症
![]()
椎体骨折
![]()
後頭孔拡大術

次の症状がある場合は、ご相談ください。
![]()
歩くときに足をかばっている(跛行といいます)
![]()
足を全くつかない
![]()
走り方が普通と違う
![]()
座るときに後ろ足を投げ出す
![]()
よく後ろ足を伸ばしている

主な検査は以下のとおりです。
![]()
歩行の観察、触診
![]()
レントゲン検査
![]()
必要であれば神経学的検査、関節液検査
![]()
診断が難しい場合にはCT検査を行うこともあります。
一般的には、整形外科疾患や神経外科疾患の周術期および退院後の回復およびケアをサポートします。
また、外科手術に至らない場合であっても、疼痛緩和や機能改善を目的とした治療を行っていきます。
運動器(関節や筋・筋膜など)や神経(感覚神経と運動神経)に変化が生じると、姿勢の変化や行動の変化が現れます。例えば、背中を丸めた姿勢をとる、ソファーの昇り降りができなくなるなどの変化がみられるようになります。
リハビリテーション診察では、姿勢や動作、関節や筋肉の評価を行い、変化を起こした原因を診断します。そして、適切な治療を行っていきます。また自宅での環境の指導も行います。
治療の大まかな内容としては、疼痛緩和、治癒促進、運動器機能改善、感覚受容体活性などがあり、筋膜リリースなどの徒手療法、様々な運動療法、レーザー治療機などを使用した物理療法を組み合わせて行います。
治療期間は、目標によって異なってきます。術後であれば、外科医と相談しゴールを決定します。高齢犬の場合、定期的なケアのために通院を継続することがあります。
「いつまでも元気に楽しく歩く!」を合言葉に、可能な限り「寝たきり」にならないように目指します。
「寝たきり」になったとしても、可能な限り苦痛を和らげる治療や指導を行っていきます。
病気や高齢だからと諦めず、より快適に暮らせるように、動物リハビリテーション医療を提供します。

次の症状がある場合は、ご相談ください。
![]()
背中が曲がっている
![]()
歩く速度が遅くなった
![]()
歩くときに頭が大きく上下する
![]()
歩くときに腰がふらふらする
![]()
つまずく
一般外科では去勢、避妊手術をはじめ、内科治療では改善できない疾病、外傷などに対して、手術を行います。
当院では安全性の高い麻酔器、モニターを使用し、いかなる状況にも対応できるスタッフ、入院体制を整えて対応しています。
ペットの外科手術で心配な点、不明な点がありましたらご相談下さい。

症状により以下の検査を行い、状態を把握します。
![]()
全血球計算
![]()
レントゲン検査
![]()
超音波検査
![]()
CT検査

主な手術は以下のようなものがあります。
![]()
去勢手術
![]()
避妊手術
![]()
子宮蓄膿症
![]()
帝王切開
![]()
歯科手術
![]()
皮膚形成
![]()
耳道外科
![]()
消化管内異物
![]()
臍ヘルニア
![]()
鼠径ヘルニア
![]()
会陰ヘルニア
![]()
門脈体循環シャント
![]()
耳血腫
![]()
肛門腺切除
![]()
会陰尿道瘻
![]()
チェリーアイ
![]()
眼球摘出
![]()
膀胱切開
一般内科では全身的な異常についてを診察します。なんだか元気が無い食欲がない等の症状から、細かな症状までを幅広く診察致します。血液検査では一般的な検査からホルモンの異常を調べる検査、骨髄の検査等を行うことが可能です。急な症状からそういえば最近気になるというような症状まで、なんでもご相談下さい。

次の症状がある場合は、ご相談ください。
![]()
最近元気がない
![]()
食欲が落ちている
![]()
たくさん水を飲む、尿の量が多い
![]()
よく吐く
![]()
体の毛がぬける
![]()
お腹が膨らんでいる
![]()
食べるのに痩せてきた
![]()
黄疸(皮膚色、粘膜色、尿等が黄色い)
![]()
蒼白(粘膜色が白っぽい)

主な検査は以下のとおりです。
![]()
全血球計算
![]()
血液化学検査
![]()
尿検査
![]()
X線検査
![]()
超音波検査
![]()
甲状腺ホルモン検査
![]()
副腎皮質ホルモン検査
![]()
CTスキャン

主な病名には以下のようなものがあります。
![]()
消化器疾患(食欲低下、嘔吐、下痢など)
![]()
咳:気管疾患や心疾患の鑑別など
![]()
鼻炎
![]()
各種内分泌疾患(甲状腺、副腎皮質などから出るホルモンの病気、糖尿病など)
![]()
血液疾患(貧血、リンパ腫、白血病、血小板減少症、骨髄疾患)
![]()
免疫疾患(炎症性腸疾患、関節炎、溶血性貧血など)
![]()
胆泥症
![]()
膵炎
など
循環器科/呼吸器科では、心臓、肺、気管等の病気について診察します。症状としては下記にあるような息苦しさや咳についてを診療します。特に心臓病は症状が出る場合には既に重症化していることもあり、無症状の時期に診断し早期に対策するのが重要となります。呼吸器の病気と心臓の病気は非常に区別がつきにくい場合がありますので、セカンドオピニオンも含めてご相談下さい。

次の症状がある場合は、ご相談ください。
![]()
疲れやすい
![]()
咳が出る
![]()
苦しそう
![]()
眠れない
![]()
倒れる
![]()
症状がなくても高齢である
![]()
呼吸時にガーガーと音が聞こえる

主な検査は以下のとおりです。
![]()
胸部X線検査
![]()
心電図(通常心電図と24時間)
![]()
心エコー検査
![]()
心カテーテル検査
![]()
管支内視鏡検査
![]()
CTスキャン

主な病名には以下のようなものがあります。
![]()
慢性変性性房室弁疾患(僧帽弁閉鎖不全)
![]()
肥大型心筋症
![]()
動脈管開存症
![]()
肺動脈狭窄症
![]()
心室中隔欠損
![]()
その他先天性心疾患
![]()
フィラリア症
![]()
肺高血圧症
![]()
気管支軟化症
![]()
肺炎
![]()
喉頭麻痺
近年、医療技術や予防医療の進歩によりペットの寿命が長くなっています。
それに伴い、高齢で発生しやすい腫瘍の発生も増加傾向にあります。
腫瘍は全身のあらゆる部位に発生し、触知可能な皮膚にできることもあれば、触知困難な胸の中や骨の内部などにも発生します。
発生する部位によって症状は異なり、無症状から下痢や嘔吐、食欲不振などといった非特異的なものまで様々です。
腫瘍を発見した場合、何の腫瘍なのか、どのくらい広がっているのか、転移しているのか、全身状態に影響を与えているのか、といった状態の把握が重要になります。
そのためには触診を始め、生検検査(細い針を腫瘍に刺し顕微鏡で見る針生検、部分的に切除する切除生検など)や、レントゲン検査、超音波検査、内視鏡あるいはCT検査などの画像診断、血液検査などを組み合わせて考える必要があります。
それらを総合的に判断したうえで目的を決定し、治療を行います。治療には大きく分けて外科療法、化学療法、放射線療法があります。
腫瘍によっては外科の後に化学療法や放射線療法を行うこともあります。
当院では腫瘍Ⅰ種認定医が在籍しており、専門的な知識とともに最善な方法を模索することができます。また、CT検査装置を完備し、手術に役立てることも可能です。
腫瘍でお悩みのことがあればご相談ください。

次の症状がある場合は、ご相談ください。
発生する部位によって症状は異なり、
無症状から下痢や嘔吐、食欲不振などといった非特異的なものまで様々

次のような検査を組み合わせて考えることで状態を把握します。
![]()
触診
![]()
生検検査(細い針を腫瘍に刺し顕微鏡で見る針生検、部分的に切除する切除生検など)
![]()
レントゲン検査
![]()
超音波検査
![]()
内視鏡あるいはCT検査などの画像診断
![]()
血液検査
腎泌尿器科では、まず生命を維持する上で大切な腎臓の病気をはじめ、尿管〜膀胱〜尿道と排泄過程の病気、また、卵巣や子宮、前立腺や精巣といった生殖器に関連する病気に対応いたします。

次の症状がある場合は、ご相談ください。
![]()
水をよく飲む、尿の量が多くなった、尿の色が透明に近い
![]()
排尿痛がある、よくトイレに通う、ふんばるが少ししか尿が出ない
![]()
そそうしてしまう、尿漏れがある、尿に血液のかたまりが混じる
![]()
真っ赤なおしっこが出る、おしっこがキラキラしている
![]()
痩せてきた、食欲がない、胃液を吐く、元気がない

次のような検査を組み合わせて考えることで状態を把握します。
①
血液検査、X線検査で最低限の全身状態をつかみます。
②
次に、超音波検査と尿検査を行います。この検査で各臓器の状態や尿の性状を見ることでほぼ診断ができます。
③
まれに上の検査ではわからない病気や、さらに詳細な状況が知りたい場合は、尿路造影をおこないます。 尿路造影には、静脈性に投与する場合と逆行性でカテーテルを用いて行います。
④
さらに上のような理由や手術前のチェックでCT検査を行うこともあります。
消化器内科では、急性的に下痢や嘔吐などの消化器症状を起こすものと長いあいだ症状が持続するような慢性的な疾患があります。
急性症状では、内科的な疾患なのか外科的な疾患なのか、見極めることが重要で、どちらにしても適切な診断と治療がおこなわれないと命にかかわる場合があります。また、慢性的な疾患でも消化器に関連する腫瘍など外科的な疾患の場合もあります。
内科的な消化器疾患には、摂取したものが原因で起こる胃腸炎や膵炎、細菌やウイルスによる感染症、基礎疾患があり2次的に消化器症状がでるものや自己免疫疾患、腫瘍など原因はさまざまです。
来院の際は便や嘔吐物を持って来ていただくと判断の助けになります。

次の症状がある場合は、ご相談ください。
![]()
少量の下痢を頻回にする
![]()
いきみがある
![]()
便に鮮血がつく、血便
![]()
多量の下痢便
![]()
下痢止めが効かない
![]()
便の色が黒い、便の色がうすい
![]()
便が小さくなった
![]()
慢性的な下痢
![]()
体重の減少
![]()
ドロドロになった食べ物を吐く
![]()
食べて短時間で吐く
![]()
空腹時に胃液を吐く
![]()
大量の液体を吐く
![]()
ぐったりしている
![]()
慢性的に胃液を吐く
![]()
食欲不振

次のような検査を組み合わせて考えることで状態を把握します。
①
血液検査とX線検査で全身状態を把握します。脱水の程度や電解質バランス、炎症の強さ、感染の程度などをみることができます
②
おうちでお薬を飲んで様子をみるレベルなのか入院して積極的な治療が必要なのかを判断し、飼い主さんと相談します。
③
消化管の閉塞が疑われる場合は超音波検査や造影剤を用いたX線検査をおこない、手術が必要なのかを精査します。消管の閉塞には、異物(梅干しの種、おもちゃ、トウモロコシの芯、ひも、タオルなど)や腫瘍、腹壁ヘルニア、他臓器の圧迫などがあります。
④
内科的な疾患でも重症な場合は、入院による治療が必要で超音波検査や膵炎の検査などをおこないます。
⑤
胃内異物や胃粘膜の病気、十二指腸粘膜の病気が疑われる場合は、内視鏡検査をおこないます。
⑥
胃腸に関連する消化器系の病気の場合(肝臓、胆嚢、十二指腸など)は、超音波検査や針生検、場合によってはCT検査をおこないます。
⑦
結腸や回腸の粘膜に病変が疑われる場合は、内視鏡検査をおこないます。
皮膚病は、症状も原因も様々であり、感染症、ホルモン異常、内臓や代謝の異常、腫瘍、免疫の異常、生まれつきの体質など多岐にわたります。皮膚の症状が、内臓の病気のサインであることもあります。

次の症状がひとつでも見られたら、なるべく早めにご来院下さい。
症状は組み合わさって出てくる事もあります。
![]()
かゆみ(どの辺りがかゆそうですか?)
![]()
赤み
![]()
腫れ(ブヨブヨしていますか?硬いですか?)
![]()
脱毛(一箇所だけですか?)
![]()
フケ(かゆみもありますか?)
![]()
ベタつき(においもありますか?)
![]()
ブツブツ

主な検査は以下のとおりです。
![]()
抜毛検査:病変部ないしその周囲の毛を抜いて被毛の状態、外部寄生虫の探索をします。
![]()
皮膚掻爬物検査:表皮を削り取り、外部寄生虫の探索をします。
![]()
直接鏡検法:病変部からスライドガラス、綿棒、セロハンテープなどで採材し、細菌や真菌、外部寄生虫の探索をします。
![]()
針生検:盛り上がった病変等に注射針を刺して吸引し、内容物を調べます。
![]()
細菌・真菌培養検査:病変部から採材し寒天培地などの培地を使って培養し、原因となっている細菌や真菌を特定します。
![]()
薬剤感受性試験:病変部から膿や分泌物を採取し、その中に含まれる細菌に対してどのような抗生剤が有効または無効であるかを調べます。
![]()
皮膚生検:病変部の皮膚組織を一部切り取り、専門の検査センターにて病理組織学的検査を依頼します。
![]()
血液検査:内分泌疾患(甲状腺機能低下症や副腎皮質機能亢進症など)やアレルギーに起因した皮膚のトラブルを疑う場合に実施します。(専門の検査センターに依頼するものもあります)
眼科疾患は日頃のペットとのふれあいの中で比較的発見しやすい疾患です。
またペットにとって視覚の有無は生活の質におおきくかかわってきます。
ペットの眼に異常がみられたら、なるべく早く眼科検査を行いましょう。

次の症状がある場合は、ご相談ください。
![]()
目が痛そう
![]()
白目が充血している
![]()
目が白くなっている
![]()
涙、目やにが多い
![]()
目が見えていなそう
![]()
目が凹んでいる、または突出している

眼科検査では、目の外貌や各種反応を観察することにより、大まかな目の異常を評価します。
![]()
細隙灯検査:拡大鏡やスリットを使用し肉眼では分かりにくい微細な異常を検査します
![]()
フルオレセイン検査:染色液を使用し、角膜に傷がないかを検査します。また、涙の排泄に異常がないかを確認します。
![]()
眼圧検査:眼圧が異常ないかの検査です。
![]()
眼底検査:網膜、視神経の形態異常がないかの検査です。
![]()
シルマーティアー検査:涙の量に異常がないかの検査です。
![]()
血液検査:全身性疾患により目に症状が出ることがあります
![]()
超音波検査:目の内部構造を検査します
超音波やX線などを使用して目に見えない体内の状態を目に見える形で表して診断していきます。

体内での音の伝わり方の違いを画像化し、心臓の形や動き、血液の流れなどを見たり、肝臓や腎臓、膀胱などお腹の中の臓器を観察できます。

心臓の中を流れる電気の動きを画像化し、不整脈や電気伝導路に異常がないかを観察します。

X線という放射線を使用し、放射線の通りやすさの差を画像化します。

レントゲンと同様に放射線を使用します。レントゲンより細かく、立体的に観察できるので肺や肝臓などにできた小さな腫瘍や転移などを発見することができます。動物でのCT検査は全身麻酔が必要になります。

磁力を用いて、骨で囲まれた脳や脊髄を観察することができます。MRI検査には全身麻酔が必要になります。 当院で検査可能です。